U bent hier

NIEUWBOUW gezinswoning met 3 tot 4 slaapkamers, garage en diepe tuin (6% BTW mogelijk)

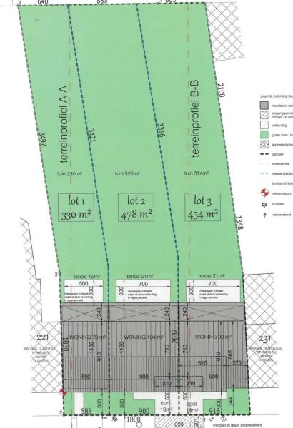
Vossensteert 229 - 8310 Sint-Kruis

INDELING LOT 3:
Grondopp: 454 m2 - Centrale Verwarming op gas - Dubbele beglazing - E-peil: 30 - Diepe tuin - GARAGE - Inkom - Toilet - Living met open ingerichte keuken - 3 Slaapkamers - Badkamer met ligbad, aparte douche en lavabo - Toilet - Ruime zolder/hobbyruimte of 4e slaapkamer op de 2e verdieping (mogelijk om in te richten tot slpk mits meerkost) - IDEAAL gelegen in de omgeving van winkels, bushalte en scholen - De foto’s van de meubels zijn louter ter illustratie en niet inbegrepen in de prijs - Woning zelf en de modelwoning te Torhout is te bezoeken na afspraak met ons kantoor - TOPAANBIEDING en ideaal voor een gezin met kinderen! - Verkoop nog mogelijk aan 6% BTW op constructiewaarde (ipv 21% BTW)

Financieel

Prijs: 
€ 460.500

Algemeen

Bouwjaar: 
2025
Uitstekende staat

Interieur

Aantal slaapkamers: 
4 slpk.
Oppervlakte slaapkamer: 
13 m²
14 m²
16 m²
52 m²
Oppervlakte living: 
34 m²
Aantal badkamers met ligbad: 
1
Aantal badkamers met douche: 
1
Type keuken: 
Open keuken geïnstalleerd
Oppervlakte keuken: 
14 m²
Toiletten: 
2
Verwarming: 
Aardgas
Oppervlakte niet-ingerichte zolder: 
52 m²

Exterieur

Totale oppervlakte v/h terrein: 
454m²
Terrein achteraan
Aansluiting water
Aansluiting op het rioolnet
Aansluiting op elektriciteit/gas
Beglazing: 
Dubbele beglazing
Aantal gesloten boxen: 
1

Omgeving

Omgeving: 
Stad
Afstand school: 
200 meter
Afstand winkels: 
100 meter

Stedenbouwkundige voorschriften

Attest voor Mazouttank: 
Niet meegedeeld
Epc waarde: 
30,00 Kwh/m²
Bouwvergunning: 
Ja
Attest Elektrische installatie: 
Ja, geldig
Meest recente stedenbouwkundige bestemming: 
Woongebied (residentieel, stedelijk of landelijk)
Voorkooprecht: 
Nee
Dagvaarding voor inbreuk op de stedenbouwkundige voorschriften: 
Nee
Verkavelingsvergunning: 
Niet meegedeeld
Overstromingsgevoeligheid: 
Onroerend goed, niet gelegen in een overstromingsgebied.

Locatie

Meer informatie nodig?

Deze informatie is vrijblijvend en zonder enige contractuele verbintenis vanwege de eigenaar en of makelaar Ze wordt enkel ten informatieve titel overgemaakt. De voorstelling, beschrijving en afmetingen werden met de grootste zorg opgesteld. Mochten er toch fouten of vergissingen in voorkomen dan excuseren wij ons hier uitdrukkelijk voor. Wij kunnen hiervoor niet aansprakelijk gesteld worden. Neem daarom altijd persoonlijk contact met ons op, zodat wij volledige informatie kunnen verschaen. Een verkoop / verhuur / overname, komt slechts tot stand na ondertekening van een onderhandse overeenkomst.